則松三丁目事務所・土地
5LDK
| 価 格(円) |
|
管理費/修繕積立金 |
|
|---|---|---|---|
| 間取り(専有面積) | 階/階建 |
|
| 所 在 地 |
|
交 通 |
|
||
|---|---|---|---|---|---|
| 築 年 月 |
|
駐車場 |
|
||

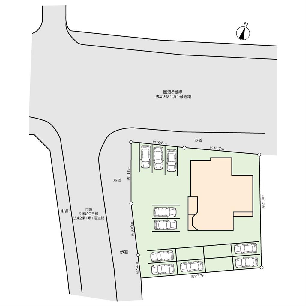
□ 土地面積 538.99㎡(公簿面積 約163坪)、建物面積 249.94㎡(公簿面積 約75.6坪)
□ 国道3号線に面しており、事業用地(商業施設、医療施設等)に適した立地
□ 駐車場(10台程駐車可、車両サイズ等制限有り)複数台、有ります。
※ 売買契約完了後、物件引渡しまでに賃借人は退去致します。
物件のポイント/設備・条件/周辺環境
| 設備等 |
|
||
|---|---|---|---|
| 駐車場 |
|
||
| 通学区(小学校) |
|
通学区(中学校) |
|
| 近隣施設 |
|
||
物件概要
その他情報
| 取引態様 |
|
自社管理番号 |
|
|---|---|---|---|
| 情報更新日 |
|
次回更新予定日 |
|
- ※価格は物件の代金総額を表示しており、消費税が課税される場合は税込と表記の上、税込価格で表示しております。
- ※間取りの「S」はサービスルーム(納戸)です。
- ※現況と異なる場合には現況を優先します。
- ※建築条件付き宅地につきましては、土地売買契約締結後3カ月以内に住宅を建築しないことが確定したとき、または住宅の建築請負契約が成立しなかった場合は、
土地売買契約は無効となり 受領した金額は全額無利息でお返しします。







